A race against time as magma rises beneath the Pacific: Scientists warn of potential eruption at Axial Seamount

A race against time as magma rises beneath the Pacific: Scientists warn of potential eruption at Axial Seamount
Scientists monitoring the Axial Seamount have detected key signs that it is about to erupt: inflation of the seafloor and increased earthquakes

Beneath the Pacific Ocean, 300 miles off the Oregon coast and nearly 4,900 feet below the surface, the Axial Seamount—a mile-wide underwater volcano—has become the focal point of a scientific race against time.

The Axial Seamount is a mile-wide underwater volcano that sits 300 miles off the coast of Oregon and more than 4,900 feet below the surface of the Pacific Ocean. One of Axial Seamounts many hydrothermal vents, which are part of a complex, sprawling network

Researchers with the National Science Foundation’s Ocean Observatories Initiative have detected a troubling surge in seismic activity, with hundreds of earthquakes now being recorded daily.

This uptick, they say, is caused by magma pressing upward through the seafloor, a phenomenon that has not been seen on this scale since the volcano’s last eruption in 2015.

William Wilcock, a marine geophysicist at the University of Washington, has been monitoring the seamount for years.

His team has observed that the seafloor has swelled to the same level it reached before the 2015 eruption—a clear warning sign that magma is building up beneath the surface. ‘At the moment, there are a couple hundred earthquakes a day,’ Wilcock explained, ‘but that’s still a lot less than we saw before the previous eruption.’ He added, however, that the timing of the next eruption remains impossible to predict. ‘It could be tomorrow, or it could be early 2026.

A map of recent activity at the Axial Seamount revealed increased daily earthquakes over the last 7 days

We just don’t know.’
The Axial Seamount’s 2015 eruption was a spectacle of geological fury.

It triggered roughly 8,000 earthquakes, produced lava flows up to 400 feet thick, and caused the ocean floor to sink nearly eight feet in some areas.

The event was a triumph for scientists, offering an unprecedented glimpse into the mechanics of underwater volcanism.

Now, the same volcano is showing signs of repeating its behavior, though with an air of quiet inevitability.

Since May 6, the number of daily earthquakes has been climbing steadily, with a sharp spike recorded on April 13.

The seafloor’s inflation, combined with the seismic data, has left scientists with little doubt that an eruption is imminent.

This massive underwater volcano sits 300 miles off the coast of Oregon and more than 4,900 feet below the surface of the Pacific Ocean

Yet, despite the urgency, the volcano poses no threat to human populations. ‘It’s too deep and too far from shore for people to even notice when it erupts,’ said Mike Poland, a scientist at the Yellowstone Volcano Observatory. ‘It has no impact on seismic activity on land.’
This is not the first time scientists have warned of an impending eruption.

Last year, they predicted the Axial Seamount would erupt by the end of 2025, citing its history of three eruptions in the past 30 years. ‘That’s why we call it the most active volcano in the Pacific Northwest,’ said Chadwick, a researcher who has studied the seamount extensively. ‘Most of the ones on land aren’t active that frequently.

If Axial Seamount does blow, it won’t pose any threat human communities, experts say. It’s too deep and too far from shore for people to even notice when it erupts, and it has no impact on seismic activity on land

They spend a lot of their time slumbering, whereas Axial has a pretty active magma supply.’
The Axial Seamount sits along the Juan de Fuca Ridge, a chain of undersea volcanoes stretching between Oregon and Alaska.

It is a young shield volcano, characterized by its broad, low profile.

When it erupts, Poland said, it will resemble a Hawaiian lava flow event—’calm effusions of lava flowing out of the caldera and across the seafloor.’ Unlike explosive eruptions that can devastate nearby areas, Axial’s activity is more of a slow, steady release of molten rock. ‘This particular volcano is probably the best-monitored submarine volcano in the world,’ Poland added. ‘It’s fascinating and doesn’t really pose a hazard.’
For scientists, the potential eruption is a rare opportunity to study one of Earth’s most dynamic geological processes in real time.

In November 2024, Oregon State University geophysicist William Chadwick started investigating the volcano when he noticed its surface had swelled to nearly the same height it reached before its last eruption 10 years ago

The Axial Seamount is a cornerstone of the Ocean Observatories Initiative, a network of sensors and instruments designed to track underwater volcanic activity with unprecedented precision.

If the volcano erupts within the next few days, it could generate up to 10,000 earthquakes in a single 24-hour period, a seismic event that would be visible from space.

Yet, for all its power, the Axial Seamount remains a silent, distant threat—one that scientists are watching with a mix of awe and urgency.

Beneath the Pacific Ocean, 300 miles off the coast of Oregon and nearly 5,000 feet below the surface, a geological giant stirs.

The volcano is located off the coast of Oregon. Pictured is a quaint town in the state

Axial Seamount, an underwater volcano that has erupted three times in recorded history—1998, 2011, and 2015—has once again drawn the attention of scientists.

This time, the signs are unmistakable: the seafloor is swelling, and the number of earthquakes near the volcano has surged.

For researchers like William Chadwick of Oregon State University, these developments are not a cause for alarm but a rare opportunity to observe a natural process in action.

The data they collect may one day help predict eruptions at other, far more dangerous volcanoes.

Yet, for now, the world above the waves need not worry.

article image

Axial Seamount’s remoteness and depth ensure that any eruption will be invisible to human communities, a fact that has long been accepted by experts who study the region.

The story of Axial Seamount’s latest activity began in November 2024, when Chadwick noticed something unusual.

The volcano’s surface had swelled to a height nearly identical to the one recorded before its 2015 eruption.

This observation, combined with a sharp increase in seismic activity—hundreds of earthquakes per day, with swarms exceeding 500 events daily—suggested a pattern.

In 2015, similar inflation had preceded the eruption, and the same logic now applied.

A map of recent activity at the Axial Seamount revealed hundreds of earthquakes over the last month

Using this historical data, scientists calculated a narrow window for the next eruption: between July 2024 and the end of 2025.

The prediction, while speculative, is grounded in decades of monitoring and a deep understanding of how underwater volcanoes behave.

Axial Seamount is not an isolated curiosity.

It is part of the Juan de Fuca Ridge, a tectonic boundary where the Pacific Plate is being pushed beneath the North American Plate.

This process generates magma, which can rise to form volcanoes like Axial.

Yet, despite its size and activity, Axial poses no threat to coastal populations.

The volcano’s depth and distance from land mean that even during an eruption, its effects will be confined to the ocean floor.

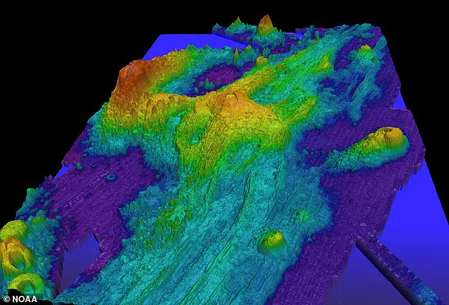
Scientists monitoring this volcano have detected a key sign that it is about to erupt: inflation of the seafloor. Pictured is the opening of the volcano

The only signs of its activity will be the tremors felt by seismometers and the plumes of heat and gas that rise from its vents.

For those who study it, however, these signs are invaluable.

They provide a window into the inner workings of a volcano that is otherwise invisible to the naked eye.

The research team, led by Chadwick and supported by colleagues like University of Washington geophysicist John Wilcock, has spent years preparing for this moment.

Their work relies on a network of high-tech instruments, including seismometers, pressure sensors, and even underwater cameras, deployed across the seafloor.

These tools form part of the University of Washington’s College of the Environment’s vast underwater observatory, one of the most advanced in the world.

The observatory’s sensors can detect the slightest changes in the ocean floor’s topography, allowing scientists to track inflation and deflation with precision.

When Axial erupts, the same instruments will capture the event in real time, providing a detailed record of the volcano’s behavior from the moment magma begins to rise until the last plume of ash dissipates.

For Wilcock, the upcoming eruption is a chance to refine predictive models that could one day be applied to other volcanoes.

Axial Seamount, though not dangerous, is a perfect laboratory for studying the early signs of an eruption.

The sharp increase in seismic activity, for instance, is a telltale indicator that magma is moving.

This pattern has been observed in Axial’s past eruptions and could be a key to forecasting events at more hazardous volcanoes, such as the Hunga Tonga-Hunga Haʻapai in the Pacific.

In January 2022, that volcano’s eruption triggered a tsunami that caused widespread devastation across the Pacific, with damages estimated at $90 billion.

Unlike Axial, Hunga Tonga is near populated areas, and its eruption was not predicted.

The lessons learned from Axial may help scientists identify similar precursors at other volcanoes, potentially saving lives.

As the countdown to Axial’s next eruption continues, the team remains focused on their mission: to observe, record, and understand.

They know that when the volcano finally erupts, it will be a spectacle of geological transformation, but one that will not disrupt the world above.

The data they collect will be a treasure trove for volcanologists, offering insights into the forces that shape the Earth’s crust.

For now, the ocean remains calm, but beneath its surface, a chapter of volcanic history is about to unfold.